The US Coast Guard was searching for six people after losing contact with their disabled boat off the coast of Guam following Typhoon Sinlaku.
The crew of the 44m dry cargo vessel, the US-registered Mariana, on Wednesday notified the coast guard that the boat had lost its starboard engine and needed assistance, Petty Officer 3rd Class Avery Tibbets said yesterday.
The coast guard set up a one-hour communication schedule with the vessel, but lost contact on Thursday. A Coast Guard HC-130 Hercules aircraft was launched to search for the six people on board, but it had to return to Guam because of heavy winds.
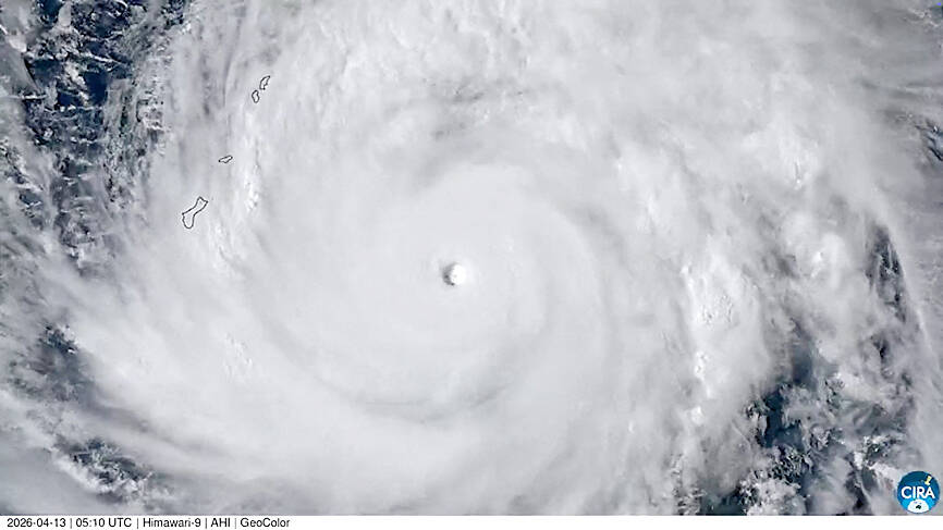
Photo: CSU/CIRA and JMA/JAXA via Reuters.
The search efforts were expected to resume at first light yesterday, Tibbets said, adding that the nationalities of the crew members were not known.
The last known position of the vessel was about 225km north-northwest of Saipan, the coast guard said.
Super Typhoon Sinlaku began battering the Northern Mariana Islands earlier this week, causing damage on the islands of Tinian and Saipan, and flash flooding in Guam, the site of several US military bases.
The typhoon was slowly moving northeast away from the island chain yesterday morning, and the storm is expected to weaken over the next few days, the National Weather Service said.
Tropical storm force gusts still remain a possibility and dangerous surf is expected to continue over the next few days, it added.
The Homeland Security and Emergency Management office for the Commonwealth of the Northern Mariana Islands (CNMI) issued a “hazardous seas warning” early yesterday morning for steep and dangerous swells reaching as high as 6m in the coastal waters surrounding the island chain.
The dangerous conditions could capsize or cause damage to vessels, and those conditions were expected to last until late yesterday afternoon, the announcement said.
The US Federal Emergency Management Agency (FEMA) and several other federal agencies are ramping up their response to Typhoon Sinlaku as the islands’ shelter-in-place orders begin to lift, said Robert Fenton, FEMA regional administrator for Region 9, which includes Guam and the Northern Mariana Islands.
“This is a very complex event, but we have a lot of experience and have worked very closely with Guam and CNMI over the years to prepare for these types of events and are well-positioned to do that again here today,” Fenton said.
A slew of federal agencies are on the ground to support the local governments, including the US Department of Defense, US Environmental Protection Agency, and US Health and Human Services.
The storm’s sheer size — with typhoon-force winds extending 443km from its center — was unique, Fenton said, adding that residents were subjected to roughly 48 hours of fierce winds, delaying responders’ ability to assess damage and help communities.
“It slows down our ability to respond to those needs, and I think it’s more physically and mentally impactful to those that have to go through that,” he said. “We think this will be a multimonth mission of emergency power.”
As the coast guard continues its search for the missing boat, US Air Force helicopters would be used to assess needs in some of the smaller, more remote and sparsely populated islands of the Northern Marianas, Fenton said.
School bullies in Singapore are to face caning under new guidelines, but the education minister on Tuesday said it would be meted out only as a last resort with strict safeguards. Human rights groups regularly criticize Singapore for the use of corporal punishment, which remains part of the school and criminal justice systems, but authorities have defended it as a deterrent to crime and serious misconduct. Caning was discussed in the parliament after legislators asked how it would be used in relation to bullying in schools. The debate followed stricter guidelines on serious student misconduct, including bullying, unveiled by the Singaporean Ministry of
As evening falls in Fiji’s capital, a steady stream of people approaches a makeshift clinic that is a first line of defense against one of the world’s fastest-growing HIV epidemics. In the South Pacific nation — a popular tourist destination of just under a million people — more than 2,000 new HIV cases were recorded last year, a 26 percent increase from 2024. The government has declared an HIV outbreak and described it as a national crisis. “It’s spreading like wildfire,” said Siteri Dinawai, 46, who came to be tested. The Moonlight Clinic, a converted minibus parked in a suburban cul-de-sac in Suva, is
A MESSAGE: Japan’s participation in the Balikatan drills is a clear deterrence signal to China not to attack Taiwan while the US is busy in the Middle East, an analyst said The Japan Self-Defense Forces yesterday fired a Type 88 anti-ship missile during a joint maritime exercise with US, Australian and Philippine forces, hitting a decommissioned Philippine Navy ship in waters facing the disputed South China Sea, in drills that underscore Tokyo’s rising willingness to project military power on China’s doorstep. The drill took place as Manila and Tokyo began talks on a potential defense equipment transfer, made possible by Japan’s decision to scrap restrictions on military exports. The discussions include the possible early transfer of Abukuma-class destroyers and TC-90 aircraft to the Philippines, Japanese Minister of Defense Shinjiro Koizumi said. Philippine Secretary of
A South Korean judge who last week more than doubled former South Korean first lady Kim Keon-hee’s prison sentence was found dead yesterday, police said. Shin Jong-o was found unconscious at about 1am at the Seoul High Court building, an investigator at the Seocho District Police Station in Seoul said. Shin was taken to a hospital and pronounced dead, he said. “There is no sign of foul play in the death,” the investigator added. Local media reported that Shin had left a suicide note, but the investigator said there was none. On Tuesday last week, Shin presided over 53-year-old Kim’s appeal trial, finding her guilty